Προς την Κούβα κατευθύνεται πλέον το μάτι του τυφώνα Melissa, έχοντας περάσει από τη Τζαμάικα, όπως ανακοίνωσε το Εθνικό Αμερικανικό Κέντρο Κυκλώνων.
«Το μάτι του τυφώνα Melissa εγκαταλείπει τον δυτικό τμήμα της Τζαμάικα μέσω της βόρειας ακτής», αναφέρεται στην ανακοίνωση του Κέντρου που καλεί τον πληθυσμό να παραμείνει προστατευμένος αφού η κατάσταση παραμένει «εξαιρετικά επικίνδυνη».
Ο τυφώνας υποβαθμίστηκε λίγο νωρίτερα στην κατηγορία 4 της πενταβάθμιας κλίμακας Saffir-Simpson.
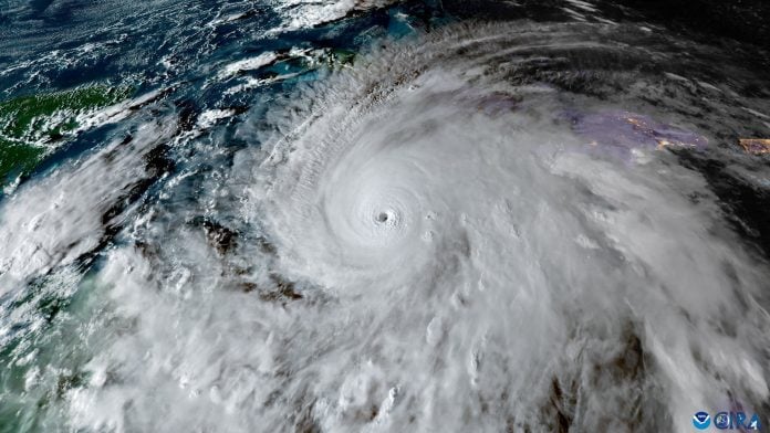
Νωρίτερα, ο τυφώνας Μelissa, «ένας από τους ισχυρότερους που έχει καταγραφεί ποτέ στον Ατλαντικό», έφθασε στη Τζαμάικα συνοδευόμενος από ανέμους που έπνεαν με ταχύτητα σχεδόν 300 χιλιομέτρων την ώρα.

Σύμφωνα με διεθνή πρακτορεία, προκλήθηκαν πλημμύρες, ωστόσο επί του παρόντος δεν έχουν γίνει γνωστές οι ακριβείς επιπτώσεις της κακοκαιρίας.
Περίπου 1,5 εκατομμύριο Τζαμαϊκανοί- σε μια χώρα πληθυσμού 2,8 εκατομμυρίων ανθρώπων- αναμενόταν να επηρεαστούν από τη «θύελλα του αιώνα» όπως έχει χαρακτηριστεί για τα δεδομένα της περιοχής.
Meteorologist Matthew Cappucci flew into the eye of Hurricane Melissa, the Category 5 storm that is projected to hit Jamaica.
“It was equal parts scientifically stunning and horrifying from a humanitarian standpoint,” he wrote, flying in one of two groups of hurricane hunters.… pic.twitter.com/MHTTx19WT7
— The Washington Post (@washingtonpost) October 28, 2025
Εκατοντάδες χιλιάδες Τζαμαϊκανοί ήταν ήδη από τη Δευτέρα χωρίς ρεύμα καθώς ο τυφώνας πλησίαζε τις ακτές με σφοδρές ριπές ανέμου και καταρρακτώδεις βροχές.
Και έπεται Κούβα
Στο στόχαστρο του τυφώνα αναμένεται να βρεθούν τις επόμενες ώρες η Κούβα, οι Μπαχάμες και τα νησιά Τερκς και Κάικος.
Στις Μπαχάμες έχει διαταχθεί εκκένωση περιοχών στα νότια και ανατολικά τμήματα του αρχιπελάγους.
Στην Κούβα, οι αρχές δήλωσαν ότι είχαν απομακρύνει πάνω από 500.000 ανθρώπους από περιοχές ευάλωτες σε ανέμους και πλημμύρες.













